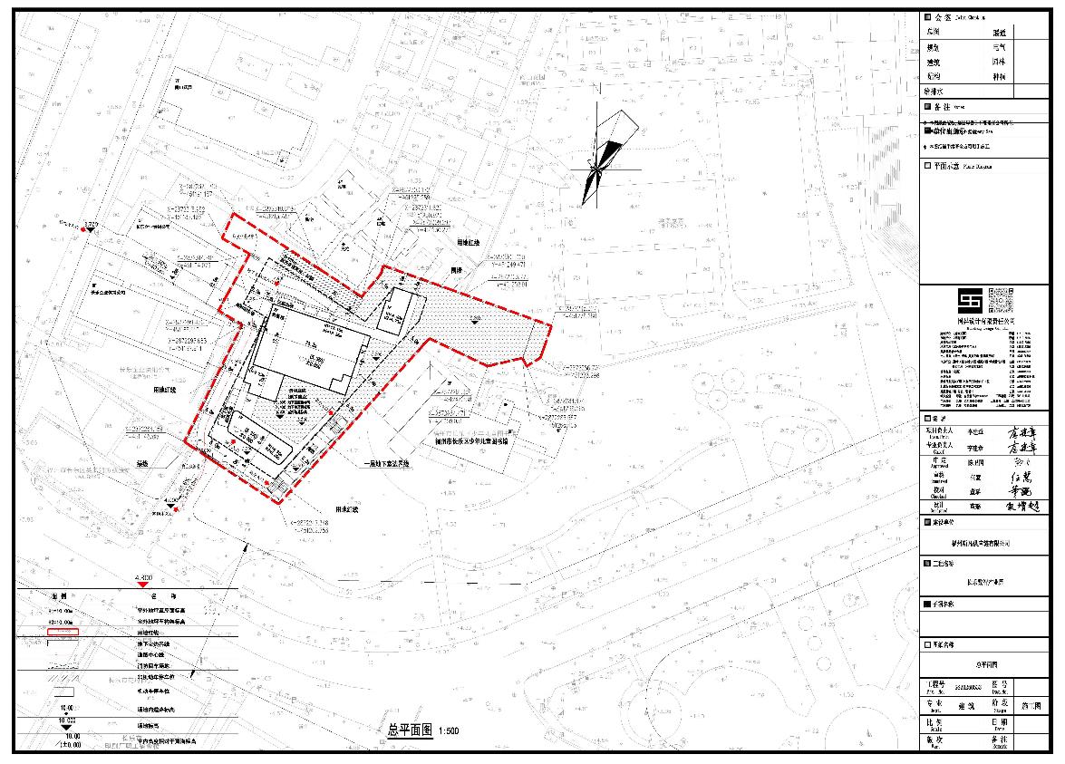
海西房产网(微信公众号:fjhxfcw)消息:2026年4月22日,长乐区自然资源和规划局发布“长乐数智产业园项目批前公示"。

长乐数智产业园项目位于吴航街道鳌山路北侧、奎桥路东侧,建设单位为福州斯凡供应链有限公司。总用地面积3177平方米(计4.77亩),容积率>1.0,≤1.5、建筑密度≤35%、绿地率≤35%。

现建设单位向我局申请建设工程规划许可证。根据《自然资源部关于加强和规范规划实施监督管理工作的通知》(自然资发〔2023〕237号)规定,现进行批前公示,征求利害关系人意见,公示时间为2026年4月23日至2026年5月2日。

该开发企业福州斯凡供应链有限公司,成立于2024年08月23日,注册地位于福建省福州市长乐区吴航南山路66号。经营范围包括一般项目:供应链管理服务。(除依法须经批准的项目外,凭营业执照依法自主开展经营活动)
返回海西房产网首页>>