海西房产网(微信公众号:fjhxfcw)消息:2026年2月12日,闽侯县自然资源和规划发布关于“林语墅”项目总平面规划调整及3-32#楼建筑设计方案的公示。

福建正祥置业发展有限公司开发建设的“林语墅”项目位于闽侯县南屿镇。该项目总平面规划方案于2017年12月23日经福州市高新区自然资源和规划局审查通过。
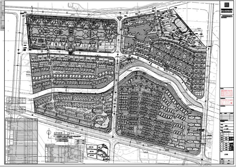
主要规划技术指标为:实际用地面积453336平方米,容积率1.25,建筑密度26.0%,绿地率30.0%;总建筑面积826804.34平方米(其中地上建筑面积582863.2平方米,地下建筑面积243941.14平方米),计容建筑面积566670平方米,不计容建筑面积260134.34平方米,建筑占地面积117867平方米,机动车停车位4312辆,非机动车停车位4350辆。
为优化项目设计方案并规划建设3-32#楼,建设单位及设计单位申请对该项目总平面规划进行调整,具体调整内容为(详见附图):
1、取消3-32#楼地下室、屋面篮球场、右侧羽毛球场,优化平面布局;
2、3-32#楼建筑单体轮廓、高度调整;

调整后总平面方案主要规划技术指标为:实际用地面积453336平方米,容积率1.25,建筑密度24.59%,绿地率30.0%;总建筑面积819878.68平方米(其中地上建筑面积582712.57平方米,地下建筑面积237166.11平方米),计容建筑面积566669.99平方米,不计容建筑面积253208.69平方米,建筑占地面积111459.90平方米,机动车停车位4312辆,非机动车停车位4350辆。
以上调整内容符合地块规划条件及有关规划管理技术规定的要求。
依据《福建省实施<中华人民共和国城乡规划法>办法》第五十三条,现将调整前后的图纸进行公示,以征求相关利害关系人的意见。公示时间为2026年2月12日至2026年3月3日。

正祥林语墅项目位于福州市“八闽首邑 ”闽侯县中部偏南。北靠森林公园,东北向为万佛寺,南侧与融侨旗山别墅用地以旗山路(暂修至项目用地西侧)为界,西靠旗山森林公园脚下的农耕田,东临南屿村返迁房用地,由南北向规划路分割。规划用地自然生态良好,交通便利,区位良好。

2005年5月,正祥集团以3.4亿元摘闽侯宗地编号 2005挂2号,宗地位于南屿镇中溪、后山、南旗、南前村,出地面积共680亩,宗地用途为居住用地。拿地至今,已超过20年。

正祥林语墅项目总计容建筑面积1756.99m² 项目总用地规模为 453336 平方米,总建筑面积约 819878.68平方米,包括低层住宅,多层住宅, 高层住宅及学校、商业、温泉设施等相关配套公建, 共分为四期。
目前本项目一期、四期、三期及二期局部已交房,二期剩余部分正在施工,小区配套已基本成熟。

本次方案报批部分为三期3-32#,是一栋地上三层商业。占地面积760.06平米(折合1.14亩),计容总建筑面积1756.99平米。建筑顺应地形布置,主入口面向道路交叉口,有利建筑形象的展示,同时使得建筑的景面最大化。


本项目立面采用现代风格,采用简洁的横向金属线条与大面积落地玻璃的组合,局部采用暖灰色和木色金属铝板,提升商业氛围。
项目规划为地上一至三层为商业(餐饮),总计容建筑面积1756.99m²。本工程北面、西面为城市道路,北面设一个机动车出入口。规划12个停车位,140个非机动车车位。
本建筑三层面积超过 300 平方米,为无分隔、通透式商业空间,建筑层高可以按 6 米控制,此处建筑层高为 5.95 米,满足此条规划控制要求。
返回海西房产网首页>>