
海西房产网(微信公众号:fjhxfcw)消息:11月20日,闽侯县自然资源和规划局发布“关于悦江尊品一期项目的批前公示”。



公示显示,福建融禧房地产开发有限公司开发建设的悦江尊品一期项目位于闽侯县荆溪镇。

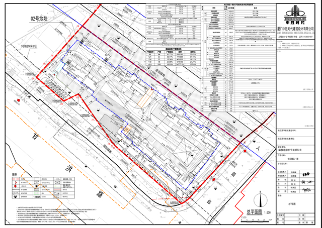
该项目总平面规划及建筑设计方案由厦门中胜时代建筑设计有限公司设计,主要经济技术指标为:总用地面积14464平方米,实用地面积11791平方米,容积率2.2,建筑密度21.71%,绿地率30%;总建筑面积39708.00平方米(其中地上建筑面积33009.10平方米,地下建筑面积6698.90平方米),计容建筑面积25940.20平方米,不计容建筑面积13767.80平方米,建筑占地面积2559.46平方米,机动车停车位196辆,非机动车停车位269辆。
现建设单位申请核发该项目的《建设工程规划许可证》。
依据《自然资源部关于加强和规范规划实施监督管理工作的通知》(自然资发〔2023〕237号)等规定,现将该项目的总平面规划方案、效果图等相关内容进行批前公示,以征求相关利害关系人的意见。公示时间为2025年11月21日至2025年12月4日。

悦江尊品一期总平图显示,项目占地约21.70亩,实际用地面积约17.69亩,总建筑面积39708㎡,住宅计容面积24777.29㎡,规划住宅总户数208户,居住人口666人。
悦江尊品一期占地21.7亩,楼面价2230元/㎡

2025年4月16日,福建裕港房地产投资有限公司以7100万元(327万元/亩、)竞得闽侯宗地2025-02号,楼面价2230元/平方米。
闽侯宗地2025-02号对应项目即为“悦江尊品一期”。

出让公告显示,“悦江尊品一期”对应的闽侯宗地2025-02号位于荆溪镇厚屿村,土地用途为商业居住混合用地。
占地面积:14464㎡(合21.70亩);实用地面积:11791平方米(合 17.69亩),容积率:1.0<FAR≤2.2;建筑密度:≤30%;绿地率:GAR≥30% ,公共绿地可统筹计算绿地率指标;建筑限高≤80米;使用年限:住宅用地 70年,商业用地40年。
出让公告约定:
1、本宗地沿地块北侧应退让城市公共绿化带(详见红线图),对外开放使用,不得设置实体围墙。绿化带建设标准每平方米不低于300元人民币,建成后无偿移交给荆溪镇人民政府。
2、宗地的竞得人应在2026年12月25日之前(交付土地之日起9个月内)开工;应在2029年12月25日之前(双方认定的开工之日起36个月内)竣工。
3、该地块划片小学为闽侯县第二实验小学龙山校区。
返回海西房产网首页>>